Semanotus
Semanotus is a genus of beetles in the family Cerambycidae, first described by Étienne Mulsant in 1839.[1]
| Semanotus | |
|---|---|
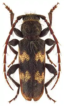
![]() | |
| Semanotus undatus | |
| Scientific classification | |
| Kingdom: | Animalia |
| Phylum: | Arthropoda |
| Class: | Insecta |
| Order: | Coleoptera |
| Family: | Cerambycidae |
| Tribe: | Callidiini |
| Genus: | Semanotus Mulsant, 1839 |
| Synonyms | |
| |
Species
Semanotus contains the following species:[2][3]
- Semanotus algiricus Pic, 1905
- Semanotus amethystinus (LeConte, 1853)
- Semanotus amplus (Casey, 1912)
- Semanotus australis Giesbert, 1993
- Semanotus basalis (Casey, 1924)
- Semanotus bifasciatus (Motschulsky, 1875)
- Semanotus conformis Casey, 1924
- Semanotus japonicus Lacordaire, 1869
- Semanotus juniperi (Fisher, 1915)
- Semanotus laurasii (Croissandeau, 1890)
- Semanotus ligneus (Fabricius, 1787)
- Semanotus litigiosus (Casey, 1891)
- Semanotus nigroalbus Holzschuh, 1984
- Semanotus russicus (Fabricius, 1777)
- Semanotus semenovi Okunev, 1933
- Semanotus sinoauster Gressitt, 1951
- Semanotus terminatus Casey, 1912
- Semanotus undatus (Linnaeus, 1758)
- Semanotus yakushimensis Makihara, 2004
References
- Mulsant, Étienne (1839). Histoire naturelle des Coléoptères de France. 1re livraison. — Longicornes. Paris: Maison. pp. 1–304.
- Bezark, Larry. "A Photographic Catalog of the Cerambycidae of the World (new world)". Retrieved 25 July 2022.
{{cite web}}: CS1 maint: url-status (link) - Bezark, Larry. "A Photographic Catalog of the Cerambycidae of the World (old world)". Retrieved 25 July 2022.
{{cite web}}: CS1 maint: url-status (link)
This article is issued from Wikipedia. The text is licensed under Creative Commons - Attribution - Sharealike. Additional terms may apply for the media files.
_(4624188485).jpg.webp)