Phrypeus
Phrypeus is a genus of ground beetles in the family Carabidae. This genus has a single species, Phrypeus rickseckeri. It is found in the United States and Canada.[1][2][3]
| Phrypeus | |
|---|---|
![]() | |
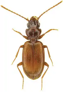
| Phrypeus rickseckeri | |
| Scientific classification | |
| Kingdom: | Animalia |
| Phylum: | Arthropoda |
| Class: | Insecta |
| Order: | Coleoptera |
| Family: | Carabidae |
| Subfamily: | Trechinae |
| Tribe: | Sinozolini |
| Genus: | Phrypeus Casey, 1924 |
| Species: | P. rickseckeri |
| Binomial name | |
| Phrypeus rickseckeri (Hayward, 1897) | |
References
- "Phrypeus". GBIF. Retrieved 2021-11-10.
- "Phrypeus Casey, 1924". Catalogue of Life. Retrieved 2021-11-10.
- "Phrypeus genus Information". BugGuide.net. Retrieved 2021-11-10.
This article is issued from Wikipedia. The text is licensed under Creative Commons - Attribution - Sharealike. Additional terms may apply for the media files.
_-_ZooKeys-245-001-g023.jpeg.webp)