2019 in the Bahamas
This article lists events from the year 2019 in the Bahamas
| |||||
| Decades: |
| ||||
|---|---|---|---|---|---|
| See also: | |||||

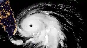
Dorian 2019-09-02 0600Z-0800Z GOES-16-ABI-eus-GEOCOLOR
Incumbents
Events
.jpg.webp)
Hurricane Dorian over the Bahamas as seen from the International Space Station on 2 September 2019
Deaths
- 21 January – Ervin Knowles, former cabinet minister (b. 1934).[1]
See also
Wikinews has related news:
References
- "Former Cabinet Minister, Ervin Knowles dies at 84 years". thebahamasweekly.com. January 22, 2019. Retrieved July 10, 2019.
Links
Media related to 2019 in the Bahamas at Wikimedia Commons
This article is issued from Wikipedia. The text is licensed under Creative Commons - Attribution - Sharealike. Additional terms may apply for the media files.