Sigara arguta
Sigara arguta is a species of water boatman in the family Corixidae.[1] It is endemic to New Zealand.[2]
| Sigara arguta | |
|---|---|
![]() | |
| Scientific classification | |
| Kingdom: | |
| Phylum: | |
| Class: | |
| Order: | |
| Suborder: | |
| Infraorder: | |
| Family: | |
| Genus: | |
| Species: | S. arguta |
| Binomial name | |
| Sigara arguta (White, 1878) | |
| Synonyms | |
|
| |
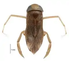
Description
Water boatman are stubby insects approximately 8 millimetres (0.31 in) in length. They have a distinctive marble pattern on their wing cases and long legs which assist their movement through the water. Their abdominal hairs are able to capture small air bubbles used to keep them afloat and these can often be seen upon close observation.[3] They swim with their "belly" facing downwards, unlike other common swimming insects.[1] S. arguta mouth parts are covered by a beak-like triangular labium.[1]
S. arguta use their forelegs to scoop up algae and detritus which they then eat.[1]
Habitat
S. arguta are found across both temporary and permanent freshwater ecosystems.[4] They are typically found in slow-moving bodies of water, such as rivers and streams, lakes, ponds and even man-made pools such as cow troughs.[1]
References
- "Water boatman". www.landcareresearch.co.nz. Landcare Research New Zealand Ltd. Retrieved 12 August 2017.
- "Sigara arguta (White, 1878)". www.nzor.org.nz. Landcare Research New Zealand Ltd. Retrieved 12 August 2017.
- Marsh, Norman (2004). Trout Stream Insects of New Zealand. Stackpole Books. ISBN 0811701301.
- Galatowitsch, M. (2014). Invertebrate life-history trade-offs and dispersal across a pond- permanence gradient (PDF) (PhD). Canterbury, New Zealand: University of Canterbury.
