Midway International Airport
Chicago Midway International Airport (IATA: MDW, ICAO: KMDW, FAA LID: MDW), typically referred to as Midway Airport, Chicago Midway, or simply Midway, is a major commercial airport on the Southwest side of Chicago, Illinois, located approximately 12 miles (19 km) from the city's Loop business district. Established in 1927, Midway served as Chicago's primary airport until the opening of O'Hare International Airport in 1955. Today, Midway is one of the busiest airports in the nation and the second-busiest airport both in the Chicago metropolitan area and the state of Illinois, serving 20,844,860 passengers in 2019.[5]
Chicago Midway International Airport | |||||||||||||||||||||||||||
|---|---|---|---|---|---|---|---|---|---|---|---|---|---|---|---|---|---|---|---|---|---|---|---|---|---|---|---|
![]() | |||||||||||||||||||||||||||
![]() | |||||||||||||||||||||||||||
| Summary | |||||||||||||||||||||||||||
| Airport type | Public | ||||||||||||||||||||||||||
| Owner/Operator | Chicago Department of Aviation | ||||||||||||||||||||||||||
| Serves | Chicago metropolitan area | ||||||||||||||||||||||||||
| Location | Clearing and Garfield Ridge, Chicago, Illinois, United States | ||||||||||||||||||||||||||
| Opened | December 12, 1927[1] | ||||||||||||||||||||||||||
| Focus city for | |||||||||||||||||||||||||||
| Elevation AMSL | 620 ft / 189 m | ||||||||||||||||||||||||||
| Coordinates | 41°47′10″N 87°45′09″W | ||||||||||||||||||||||||||
| Website | flychicago | ||||||||||||||||||||||||||
| Maps | |||||||||||||||||||||||||||
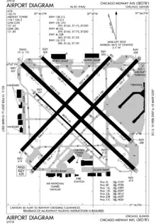
![]() FAA airport diagram | |||||||||||||||||||||||||||
| Runways | |||||||||||||||||||||||||||
| |||||||||||||||||||||||||||
| Statistics (2022) | |||||||||||||||||||||||||||
| |||||||||||||||||||||||||||
Midway is a base for Southwest Airlines,[6] which carries over 95% of the passengers at the airport. The airport's current name is in honor of the Battle of Midway. The now-defunct Midway Airlines, once headquartered at Midway, took its name from the airport. The airfield is located in a square mile bounded by 55th and 63rd Streets, and Central and Cicero Avenues. The current terminal complex was completed in 2001. The terminal bridges Cicero Avenue and contains 43 gates with facilities for international passengers. The CTA rapid transit Orange Line provides transit to Downtown Chicago, where it connects with other subway/elevated rapid transit lines.
History


Early history (1923–1962)
Originally named Chicago Air Park,[7] Midway Airport was built on a 320-acre (130 ha) plot in 1923 with one cinder runway mainly for airmail flights. In 1926, the city leased the airport and named it Chicago Municipal Airport on December 12, 1927.[1] By 1928, the airport had twelve hangars and four runways, which were lit for night operations.[8]
A major fire early on June 25, 1930 destroyed two hangars and 27 aircraft, "12 of them tri-motor passenger planes." The loss was estimated at more than two million dollars. The hangars destroyed belonged to the Universal Air Lines, Inc. and the Grey Goose Airlines, the latter under lease to Stout Air Lines. The fire followed an explosion of undetermined cause in the Universal hangar.[9]

In 1931 a new passenger terminal opened at 62nd St;[8] the following year the airport claimed to be the "World's Busiest" with over 100,846 passengers on 60,947 flights.[10] (The July 1932 Official Aviation Guide (OAG) shows 206 scheduled airline departures a week.)
More construction was funded in part by $1 million from the Works Progress Administration; the airport expanded to fill the square mile in 1938–41 after a court ordered the Chicago and Western Indiana Railroad to reroute tracks that had crossed the square along the northern edge of the older field.
The March 1939 OAG shows 47 weekday departures: 13 on United, 13 American, 9 TWA, 4 Northwest, and two each on Eastern, Braniff, Pennsylvania Central, and C&S.[11] New York's airport (Newark, then LaGuardia by the end of 1939) was then the busiest airline airport in the United States, but Midway passed LaGuardia in 1948 and kept the title until 1960.[8] The record-breaking 1945 Japan–Washington flight of B-29s refueled at the airport on their way to Washington, DC.
In July 1949, the airport was renamed after the Battle of Midway.[10] That year, Midway saw 3.2 million passengers; passengers peaked at 10 million in 1959.[12] The diagram on the January 1951 C&GS approach chart shows four parallel pairs of runways, all 4240 ft or less except for 5730-ft runway 13R (current runway 13C) and 5230-ft runway 4R.
The April 1957 OAG shows 414 weekday fixed-wing departures from Midway: 83 American, 83 United, 56 TWA, 40 Capital, 35 North Central, 28 Delta, 27 Eastern, 22 Northwest, 19 Ozark, 11 Braniff, 5 Trans-Canada, and 5 Lake Central. Air France, Lufthansa, and REAL (of Brazil) had a few flights per week.[13] Midway was running out of room and, in any case, could not handle the 707 and DC-8 jets that appeared in 1959; every Chicago jet flight had to use O'Hare, which had opened to the airlines in 1955. Electras and Viscounts could have continued to fly out of Midway, but O'Hare's new terminal opened in 1962, allowing airlines to consolidate their flights. From July 1962 until United returned in July 1964, Midway's only scheduled airline was Chicago Helicopter. In August 1966, a total of four fixed-wing arrivals were scheduled, all United 727s (United was alone at Midway until early 1968).
Post-O'Hare reconstruction (1963–1993)
By 1967, reconstruction began at the airport, adding three new concourses with 28 gates and three ticket counters,[10] and in 1968, the city invested $10 million in renovation funds.[8] (For a few months during the 1967 renovation, Midway had no scheduled airline flights.) The funds partly supported construction of the Stevenson Expressway, and Midway saw the return of major airlines that year, with 1,663,074 passengers[14] on smaller-capacity, shorter range twin-jet and trijet airliners such as the McDonnell Douglas DC-9, BAC One-Eleven, Boeing 727, and Boeing 737 that could use Midway's runways, which the Boeing 707 and Douglas DC-8 could not. In May 1968 there were 22 scheduled departures: six United 727s to MSP, DCA and LGA, 12 Northwest 727s to MSP and CLE, one Delta DC-9 to STL and three Ozark FH227s.
The December 1970 OAG shows 86 weekday arrivals (77 jet) on 13 fixed-wing airlines from 31 airports,[15] but the August 1974 shows 14 arrivals (all jet) on four airlines, and in 1976–79 Midway had only the two or three Delta DC-9s from St Louis. Midway Airlines arrived on October 31, 1979, with DC-9 nonstops to Kansas City, Detroit and Cleveland Lakefront; they expanded greatly in the 1980s. Their September 1989 timetable shows 117 weekday departures to 29 cities, plus 108 departures on their commuter affiliates to 22 more cities. Midway ceased flying in 1991 due to financial challenges.
In 1982, the city of Chicago purchased Midway Airport from the Chicago Board of Education for $16 million.[8] Three years later, Southwest Airlines began operations at Midway.[16] Midway was a focus city for Vanguard Airlines from 1997 to 2000.[17]
The Chicago Transit Authority displaced the Carlton Midway Inn to open a new CTA terminal at the airport on October 31, 1993, for the new Chicago 'L' Orange Line that connected Midway to the Loop.[10] Midway Airport is the end of the line, which crosses the southwest part of the city before circling around the Loop. Unlike the CTA Blue Line, which runs 24 hours a day, every day, the Orange Line runs from about 4:00 am to 1:00 am, just shy of 24 hours, at an average of 8-minute intervals. During overnight periods, the N62 Archer bus is available as an alternative. Once the train departs, the trip from Midway to the Loop takes about 25 minutes.
Years of ATA (1994–2008)
In 1996, after failing to get his Lake Calumet Airport and having received harsh criticism for the idea of turning the airport into an industrial park, Chicago Mayor Richard M. Daley announced the Midway Airport Terminal Development Program, which was launched the following year. At the time, it was the largest public works project in the state.[18] The Midway Airport parking garage opened in 1999, bringing covered parking to the airport for the first time. The garage is connected to the Midway terminal building for convenient access to ticket counters and baggage claim areas.[10]
Continuing with the expansion project, a pedestrian bridge over Cicero Avenue was built in 2000, connecting the new terminal to the new concourses.[8] In 2001 the new 900,000-square-foot (84,000 m2) Midway Airport terminal building opened, with larger ticket counters, spacious baggage claim areas, traveler information, and a short walking distance to gates.[10] A 50,000-square-foot (4,600 m2) food court opened with Chicago-style food and retail options.
The expansion project culminated with a short lived period of great airline diversity at Midway as Vanguard Airlines, National Airlines and AirTran Airways all expanded their services to the airport.
ATA Airlines (ATA) took over Chicago Express Airlines, also known as ATA Connection, whose primary hub was at Midway. Chicago Express served as a regional airline connecting to airports around the Great Lakes regions.
Following the September 11 attacks, which resulted in a drop in passenger service, along with other problems for the airline industry, both Vanguard and National ceased operations at Midway and became defunct in 2002, with MetroJet being dissolved and refolded into US Airways' main line in late 2001.
In 2002, Midway welcomed the return of international service after a 40-year absence with the opening of the new Federal Inspection Service facility in Concourse A.[19]
In June 2004, Mayor Daley and airline officials celebrated the completion of the Terminal Development Program.[8] The project, designed by HNTB[20] resulted in the addition of 14 gates (from 29 to 43).[8] A new 6,300-space economy parking garage, including a new bridge and roadway for buses shuttling passengers to and from the terminal, opened in December 2005.[8]
Simultaneous to Midway's expansion, ATA Airlines began rapid expansion at Midway in the early 2000s (decade), and was the airport's dominant carrier prior to 2004, using 14 of the 17 gates in Concourse A.[21] However, after the airline declared bankruptcy in October 2004, scheduled service from Midway significantly decreased.
For over 16 years, Midway had been the main hub for Indianapolis-based ATA, but the airline shut down on June 7, 2008.[22][23] Earlier, the airline filed for bankruptcy in April 2008; on April 3, 2008, ATA Airlines discontinued all operations.[23]
In November 2008, Porter Airlines, which flies between Midway and Billy Bishop Toronto City Airport, was the only international route served from Chicago–Midway after ATA Airlines, which had flights to Mexico, ceased operations in April that year. On December 13, 2010, a second carrier, Volaris, began flights between Guadalajara and Midway.
Starting in early 2009, a construction project added a new walkway and food court to Concourse A. The project also connected gates A4A and A4B to the main A concourse. Expansions were completed in the spring of 2010.
Privatization attempts
Chicago has considered privatizing the airport, but the deals fell through in 2009 and 2013.
On April 20, 2009, a $2.5 billion deal to privatize the airport via a 99-year lease fell through when the consortium could not put together financing. The city would have kept $125 million in the down payment. The consortium operating under the name of Midway Investment and Development Company LLC consisted of Vancouver Airport Services, Citi Infrastructure Investors, and Boston's John Hancock Life Insurance. It was awarded the contract in October 2008 by the City Council, which voted 49–0 to approve it. The consortium would have operated the airport and collected airport parking, concession, and passenger facility charges. However, Chicago would have continued to provide fire and police services.[24] In 2010 a new slogan emerged, calling the airport "The busiest square mile in the world".
In September 2013, Mayor Rahm Emanuel terminated new negotiations to privatize the airport, noting that the process was no longer competitive after one of the two finalists had backed out. The one remaining was Great Lakes Airport Alliance – a partnership of Macquarie Infrastructure and Real Assets and Ferrovial. Macquarie was one of the investors in the Chicago Skyway. The group that had backed out was a group that included the Australia-based Industry Funds Management and Manchester Airports Group. The Great Lakes proposal had been valued at $2 billion and would have involved a 40-year lease.[25][26]
Modernization program
Construction began on expansions of the security checkpoint and main parking garage. The bridge spanning Cicero Ave is being widened from 50 feet to over 400 feet, allowing up to 17 security lanes and a streamlined queue.[27] As the current terminal opened just a few months prior to the September 11th attacks, the security area was quickly rendered too small for the new screening measures and subsequently was forced to expand inward, taking away from space in the concourses. Space that is reclaimed by moving security outward into the bridge will be redeveloped with an expansion of the central food court. The main parking garage is being extended eastward over the CTA L tracks to add 1,500 spaces and streamline the entrance way.[27] In addition to the redeveloped central food court, new concession options will open in phases including a food court in Concourse A utilizing previously unused space built during the 2010 rebuild of the Gate A4A/B connecting walkway.[27] The program is the largest capital improvements project at the airport since the 2001 terminal redevelopment and has been completed
Facilities


All terminals and hangars were on the square periphery. By the late 1970s, the shorter north–south and east–west runway pairs had been closed, though some were converted to taxiways. The other four runways remain in use, all strengthened and enhanced, but about the same lengths as always. A short runway (13R/31L) for light aircraft was added in 1989.
Chicago Midway International Airport covers just over one square mile (650 acres or 260 hectares)[3][28] and has five runways:[29]
- 13C/31C: 6,522 ft × 150 ft (1,988 m × 46 m), air carrier runway, ILS-equipped
- 4R/22L: 6,445 ft × 150 ft (1,964 m × 46 m), air carrier runway, ILS-equipped
- 4L/22R: 5,507 ft × 150 ft (1,679 m × 46 m), general aviation and air taxi
- 13L/31R: 5,141 ft × 150 ft (1,567 m × 46 m), general aviation and air taxi.
- 13R/31L: 3,859 ft × 60 ft (1,176 m × 18 m), light aircraft only.
Midway is surrounded by buildings and other development, so the landing thresholds of the runways are displaced to provide obstacle clearance. The FAA and the airlines ensure safety by adhering to calculated load limits and various weather minimums. Because of the displaced landing thresholds, the runways have shorter distances available for landings than for takeoffs. 13C/31C, the longest runway, only has an available landing distance of 6,059 feet (1,847 m) in the southeast direction, and 5,826 feet (1,776 m) to the northwest. The largest aircraft normally seen at Midway is the Boeing 757. Normally, commercial planes only take off from and land on runways 4R/22L and 13C/31C. The other runways are used by smaller aircraft and, per the US FAA Chart Supplement, are restricted from use by large commercial aircraft except in emergency.[30]
Airlines and destinations
Passenger
Statistics
Top destinations
| Rank | City | Passengers | Carriers |
|---|---|---|---|
| 1 | Denver, Colorado | 403,650 | Frontier, Southwest |
| 2 | Las Vegas, Nevada | 397,660 | Frontier, Southwest |
| 3 | Phoenix–Sky Harbor, Arizona | 397,230 | Frontier, Southwest |
| 4 | Atlanta, Georgia | 396,500 | Delta, Frontier, Southwest |
| 5 | Orlando, Florida | 393,750 | Frontier, Southwest |
| 6 | Dallas–Love, Texas | 287,060 | Southwest |
| 7 | Minneapolis/St. Paul, Minnesota | 269,660 | Delta, Southwest |
| 8 | Houston–Hobby, Texas | 244,810 | Southwest |
| 9 | New York–LaGuardia, New York | 241,380 | Southwest |
| 10 | Tampa, Florida | 240,990 | Frontier, Southwest |
| Rank | Airport | Passengers | Carriers |
|---|---|---|---|
| 1 | 128,134 | Volaris | |
| 2 | 108,075 | Southwest | |
| 3 | 95,282 | Volaris | |
| 4 | 77,331 | Porter | |
| 5 | 66,857 | Southwest | |
| 6 | 63,128 | Volaris | |
| 7 | 54,451 | Volaris | |
| 8 | 42,250 | Volaris | |
| 9 | 29,646 | Volaris | |
| 10 | 11,284 | Southwest |
Airline market share
| Rank | Airline | Passengers | Percent of market share |
|---|---|---|---|
| 1 | Southwest Airlines | 17,643,000 | 92.63% |
| 2 | Frontier Airlines | 799,000 | 4.19% |
| 3 | Delta Air Lines | 261,000 | 1.37% |
| 4 | SkyWest | 167,000 | 0.88% |
| 5 | Endeavor Air | 53,000 | 0.28% |
| 6 | Others | 124,000 | 0.65% |
Accidents and incidents
On December 8, 1972, United Airlines Flight 553, a Boeing 737-200, crashed into a residential area outside Midway during landing. The crash of the 737-200 killed 43 of the 61 on board, and two on the ground. One of the victims on the plane was Dorothy Hunt, the wife of Watergate conspirator E. Howard Hunt. She was carrying $10,000 in cash. James McCord alleged that she supplied the Watergate defendants with money for legal expenses.[46]
Exactly 33 years later, on December 8, 2005, Southwest Airlines Flight 1248, a Boeing 737-700 inbound from Baltimore–Washington International Airport in Baltimore, Maryland, slid off the runway while attempting to land at the airport in a heavy snow storm.[47] The airplane broke through the barrier fence of the airport, and came to rest at the intersection of 55th Street and Central Avenue bordering the airport at its northwest corner.[47] A 6-year-old boy was killed as a passenger in a vehicle that was struck by the plane after it skidded into the street.[47]
| Date | Registration | Aircraft | Carrier | Location | Summary |
|---|---|---|---|---|---|
| May 31, 1936 | NC14979 | DC-2 | Trans World Airlines | - | On approach to the west airstrip (later designated Runway 27L), 1 engine out, strong gusts, crashed half a mile east of field. All survived. |
| December 4, 1940 | NC25678 | DC-3A | United Airlines | 6356 S. Keating Ave. | Pilot lost sight in bad weather and crashed on landing approach resulting in ten deaths.[48][49] |
| May 20, 1943 | 42–7053 | B-24E | U.S. Army Air Force | 3625 W. 73rd St. | On approach, disoriented in bad weather, hit huge gas storage tank 2.5 miles (4.0 km) southeast. 12 fatalities on plane and ground.[50][51] |
| September 26, 1946 | NC19939 | DC-3 | Trans World Airlines | West of 96th Ave. at 97th St. | Midair collision with Boeing PT-17, which crashed, killing two. The DC-3 limped in to Midway. |
| July 2, 1946 | NC28383 | DC-3 | Trans World Airlines | - | Crashed 1.5 miles (2.4 km) northeast of field. All survived. |
| March 10, 1948 | NC37478 | DC-4 | Delta Air Lines | 5000 W. 55th St. | Plane took off on 36R, at 150 feet (46 m) went vertical, at 500 feet (150 m) nosed over, crashed on 55th St. 12 fatalities. |
| March 26, 1949 | NC90736 | DC-6 | American Airlines | - | Hit power lines on approach. All survived. |
| December 8, 1949 | NC86501 | L-049 | Trans World Airlines | - | Landing too far down (then designated) 13R, crashed through fence, ended up at 63rd and Cicero. All survived. |
| January 4, 1951 | N79982 | C-46 | Monarch Airlines | - | Overloaded taking off on (then designated) 31L, could not climb, crashed on railroad tracks one half-mile northeast. All survived. |
| September 16, 1951 | N74689 | C-46 | Peninsula Transport | - | Belly-landed 500 yards (460 m) away at northeast 63rd and Harlem. All survived. |
| March 3, 1953 | N6214C | L-1049 | Eastern Airlines | On field | Landed on (then designated) 31L, gear collapsed, skidded southwest toward Hale School. All survived. |
| July 17, 1955 | N3422 | Convair 340 | Braniff International Airways | On field | Hit gas station sign on approach to (then designated) 13R, flipped over, crashed. 22 fatalities. |
| August 5, 1955 | N74601 | Boeing 377 | Northwest Airlines | - | Landed on (then designated) 31L, could not stop, crashed through fence at 55th and Central. All survived. |
| February 20, 1956 | N7404 | Vickers Viscount | Capitol | On field | Landing on 31R, plane flopped in 300 feet (91 m) short of threshold. All survived. |
| March 15, 1959 | N94273 | Convair 240 | American Airlines | - | Lost sight of (then designated) 31L on approach, crashed in railroad yard one half-mile south of field. All survived. |
| November 24, 1959 | N102R | L-1049H | Trans World Airlines | Came to rest 63rd and Kilpatrick | Plane departed (then designated) 31L, fire on engine No. 2, circled to land 31L, crashed 0.2 miles (0.32 km) southeast of field. All three persons aboard were killed. |
| September 1, 1961 | N86511 | L-049 | Trans World Airlines | - | Plane departed Midway, lost elevator bolt, crashed near Hinsdale, Illinois, resulting in 78 deaths. |
| December 8, 1972 | N9031U | 737-200 | United Airlines | 71st and Springfield | Aircraft descended too low on approach to 31L (now 31C) and struck houses, crashed 1.25 miles (2.01 km) southeast of airport, causing 43 fatalities aboard the aircraft and two on the ground. |
| March 25, 1976 | N1EM | Lockheed Jetstar | Executive | On field | Pilot unfamiliar with plane attempted take off on 13R (now 13C), never became airborne, crashed into fence 63rd and Cicero. Four fatalities. |
| August 6, 1976 | N9446Z | TB-25N | Air Chicago | 61st and Moody Avenue | Poor maintenance, and first flight of the plane in two years. It took off 4L, lost engine 2, and crashed 0.4 miles (0.64 km) west of field, killing two aboard and one on the ground. |
| December 8, 2005 | N471WN | 737-700 | Southwest Airlines | 55th & Central | Landed 31C during a snowstorm, crashed through a fence, hit 2 cars, killed a child in car on 55th St. and Central Ave. |
Source: Civil Aeronautics Board archives, NTSB records.
Note: Prior to 1941, the runways did not have numerical designations. The runway now designated 13C/31C was designated 13R/31L from 1941 until 1989, when a new Runway 13R/31L was built. Runways 27L, 27R, 36L and 36R were closed by 1973.
See also
References
- "Midway Airport". Encyclopedia of Chicago. Archived from the original on August 14, 2012. Retrieved August 16, 2012.
- "Frontier Airlines Launches New Nonstop Routes from Chicago Midway; MDW Becomes Frontier's Primary Airport in Chicago".
- FAA Airport Form 5010 for MDW PDF. effective December 30, 2021.
- "Year to Date Operations-Passengers, Cargo Summary December 2022" (PDF). flychicago.com. Retrieved March 16, 2023.
- "Air Traffic Data". Chicago Department of Aviation. December 2018. Archived from the original on September 14, 2019. Retrieved April 12, 2019.
- Schulte, Sarah. "SWA flights take off at Midway, airline's largest hub Archived November 12, 2013, at the Wayback Machine." WLS-TV. April 4, 2011. Retrieved on April 4, 2011.
- "Chicago Transportation: Chicago Midway Airport". USA Today. May 12, 2007. Archived from the original on January 2, 2007.
- "History of Midway International Airport". Fly Chicago. April 28, 2007. Archived from the original on June 6, 2007.
- Associated Press, "27 Planes Burn In Chicago Fire", Sarasota Herald, Sarasota, Florida, Wednesday 25 June 1930, Volume 5, Number 224, page one.
- "Midway Airport Visitors Guide (History Section)" (PDF). FlyChicago.com. May 12, 2007. Archived from the original (PDF) on April 14, 2008.
- Official Aviation Guide, Chicago IL: Official Aviation Guide Company, 1939
- This video of Chicago Midway Airport in 1954 Archived November 30, 2015, at the Wayback Machine shows the increase in traffic that Midway Airport experienced during the 1950s.
- Official Airline Guide, Washington DC: American Aviation Publications, 1957
- Airport Activity Statistics shows 208,086 total enplanements in 1968.
- UA had 25 flights from DEN, DSM, MLI, LGA, OMA, PIT, and DCA; AA had 13 from DTW, EWR, ROC and STL; NW had 10 from MSP and CLE.
- "Southwest Airlines Fact Sheet: Top Ten Airports". Southwest Airlines. May 12, 2007. Archived from the original on April 24, 2012. Retrieved April 8, 2007.
- "Midway Airlines". Encyclopedia of Chicago. April 27, 2007. Archived from the original on April 23, 2007. Retrieved April 28, 2007.
- "Early History/Post O'hare history". The Tracon. April 6, 2007. Archived from the original on October 10, 2013.
- "New Midway Terminal". Airport-Technology.com. April 6, 2007. Archived from the original on December 8, 2006. Retrieved April 6, 2007.
- "HNTB – Chicago Midway Airport". Archived from the original on July 1, 2012.
- "ATA Facts". ATA Airlines. December 1, 2007. Archived from the original on March 28, 2008.
- Mutzabaugh, Ben. "ATA to end service to DCA, LGA". USA Today. Archived from the original on June 29, 2012.
- "ATA Airlines to Discontinue Scheduled Service at Chicago's Midway Airport". ATA Airlines. PR Newswire. Archived from the original on March 14, 2012.
- "Chicago Tribune - Historical Newspapers". Chicago Tribune. Archived from the original on April 19, 2009. Retrieved July 16, 2019.
- Chicago Halts Airport Lease – WSJ.com Archived March 14, 2016, at the Wayback Machine. Online.wsj.com (September 5, 2013). Retrieved on September 18, 2013.
- Emanuel halts Midway privatization bidding – Chicago Tribune Archived March 4, 2016, at the Wayback Machine. Articles.chicagotribune.com (September 6, 2013). Retrieved on September 18, 2013.
- "Midway modernization". www.flychicago.com. Archived from the original on September 16, 2018. Retrieved September 16, 2018.
- "MDW airport data at skyvector.com". skyvector.com. Retrieved August 25, 2022.
- "MDW FAA Information effective 11 February 2010". AirNav. February 11, 2010. Archived from the original on April 16, 2007. Retrieved April 6, 2007.
- "Chart Supplement Search". FAA. Retrieved November 24, 2021. Full link updates regularly: Search for MDW
- "Midway Airport Map". Retrieved July 3, 2022.
- https://ir.allegiantair.com/news-releases/news-release-details/allegiant-announces-eight-new-routes-one-way-fares-low-39
- "Allegiant Interactive Route Map". Archived from the original on July 17, 2017. Retrieved January 14, 2020.
- "Destinations".
- "FLIGHT SCHEDULES". Archived from the original on June 21, 2015. Retrieved January 7, 2017.
- "Frontier Airlines Reports Record Growth at Raleigh-Durham International Airport". March 28, 2023.
- "Frontier Airlines Announces Nonstop Service from San Francisco to Chicago Midway, Orlando, Detroit, and Cleveland". March 28, 2023.
- "Route Map".
- "Fly porter destinations". Archived from the original on February 27, 2017. Retrieved February 26, 2017.
- "Southwest launching 5 new and 24 returning routes in 2023". Business Insider.
- "Check Flight Schedules". Archived from the original on February 2, 2017. Retrieved January 7, 2017.
- "Volaris Flight Schedule". Archived from the original on February 27, 2017. Retrieved February 26, 2017.
- "Chicago, IL: Chicago Midway International (MDW)". Bureau of Transportation Statistics, United States Department of Transportation. Retrieved March 17, 2023.
- "BTS Air Carriers : T-100 International Market (All Carriers)". Archived from the original on June 15, 2018. Retrieved December 31, 2021.
- "RITA | BTS | Transtats". Transtats.bts.gov. Archived from the original on May 25, 2017. Retrieved January 24, 2023.
- "Crash Mrs. Hunt Died In Blamed On Pilot Error". St. Petersburg Times. St. Petersburg, Florida. UPI. September 28, 1973. p. 16–A. Archived from the original on November 21, 2015. Retrieved May 26, 2013.
- "Boy dies as jet skids off runway". BBC News. December 9, 2005. Archived from the original on January 1, 2010. Retrieved February 17, 2010.
- "Plane Crash Toll at Nine". The Tuscaloosa News. Associated Press. December 6, 1940. p. 12.
- "6 Dead in Crash of U.S. Airliner". The Montreal Gazette. Associated Press. December 5, 1940. p. 1.
- Chicago, Illinois, "Gas Tank Quiz Promised in Air Disaster – Bomber Crash Kills 12 on Board", Chicago Daily Tribune, May 21, 1943, page 1.
- War Department, U.S. Army Air Forces Form 14, Report of Aircraft Accident, May 25, 1943.
External links
- Official website
- Midway: Terminal and Concourse Maps
- TWA Crash of 1959
- 1972 Crash Summary
- Early Midway images
- Airport diagram for 1959
- Historic American Buildings Survey (HABS) No. IL-305, "Midway Airport, South Terminal, Cicero Avenue between Fifty-fifth & Sixty-third Streets, Chicago, Cook County, IL"
- FAA Airport Diagram (PDF), effective April 20, 2023
- Resources for this airport:
- AirNav airport information for KMDW
- ASN accident history for MDW
- FlightAware airport information and live flight tracker
- NOAA/NWS weather observations: current, past three days
- SkyVector aeronautical chart for KMDW
- FAA current MDW delay information


